Перейти к содержанию

Chalcodryidae

Эта статья находится на начальном уровне проработки, в одной из её версий выборочно используется текст из источника, распространяемого под свободной лицензией
Материал из энциклопедии Руниверсалис
Chalcodryidae
Chalcodryidae
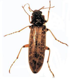
Chalcodrya sp.
Научная классификация
Царство: Животные
Тип: Членистоногие
Класс: Насекомые
Подкласс: Крылатые насекомые
Надотряд: Новокрылые насекомые
Отряд: Жёсткокрылые
Подотряд: Разноядные жуки
Надсемейство: Тенебрионоидные
Семейство: Chalcodryidae
Латинское название
Chalcodryidae Watt, 1974
Роды

Chalcodryidae — семейство жуков (Coleoptera), члены которого обитают на островах Новой Зеландии.

Систематика

Маленькое семейство, включает всего 17 видов в четырёх родах.

  • Chalcodrya Redtenbacher, 1868
    • Chalcodrya bifasciata Broun, 1880
    • Chalcodrya calida Broun, 1880
    • Chalcodrya cylindrata Broun, 1880
    • Chalcodrya hilaris Watt, 1974
    • Chalcodrya minor Broun, 1880
    • Chalcodrya nigellus Broun, 1880
    • Chalcodrya nigricorne Broun, 1880
    • Chalcodrya nubeculosa Broun, 1880
    • Chalcodrya pullum Broun, 1880
    • Chalcodrya undulata Broun, 1880
    • Chalcodrya ustatus Broun, 1880
    • Chalcodrya variegata Redtenbacher, 1868
  • Onysius Broun, 1886
    • Onysius anomalus Broun, 1886
  • Philpottia Broun, 1915
    • Philpottia levinotis Watt, 1974
    • Philpottia mollis (Broun, 1886)
  • Sirrhas Champion, 1893
    • Sirrhas limbatus Champion, 1893
    • Sirrhas variegatus Lawrence, 1994

Ссылки

  • BioLib Taxon profile — family Chalcodryidae Watt, 1974