Gyrophaena chippewa
| Gyrophaena chippewa | |
|---|---|
| |
| Научная классификация | |
|
Домен: Царство: Подцарство: Без ранга: Без ранга: Без ранга: Без ранга: Тип: Подтип: Надкласс: Класс: Подкласс: Инфракласс: Надотряд: Отряд: Подотряд: Инфраотряд: Надсемейство: Семейство: Подсемейство: Триба: Подтриба: Род: Вид: Gyrophaena chippewa |
|
| Международное научное название | |
| Gyrophaena chippewa Seevers, 1951[1] | |
Gyrophaena chippewa (лат.) — вид жуков-стафилинид рода Gyrophaena из трибы Homalotini (подсемейство Aleocharinae). Северная Америка.
Распространение
Описание
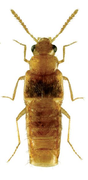
Мелкие коротконадкрылые жуки. Длина тела от 2,0 до 2,7 мм, форма узкоовальная. Пронотум в 1,3 раза шире своей длины. Окраска желтовато-коричневая. Обнаружены в августе в смешанных лесах. Личинки и взрослые жуки питаются грибами (облигатные микофаги), в которых живут, питаются и размножаются, откладывают яйца. Поедают споры, базидии и гифы грибницы[1]. Голова широкая, сильно поперечная. Глаза относительно крупные, выступающие (за глазами голова суженная). Язычок длинный и узкий. Губные щупики 2-члениковые. Переднеспинка уже надкрылий. Задние лапки 5-члениковые, а лапки передних и средних состоят из 4 сегментов (формула лапок: 4-5-5)[3].
Примечания
- ↑ 1,0 1,1 1,2 Klimaszewski, J.; Webster, R. P.; Savard, K. 2009: Review of the rove beetle species of the subtribe Gyrophaenina Kraatz (Coleoptera, Staphylinidae) from New Brunswick, Canada: new species, provincial records and bionomic information. Архивная копия от 16 июля 2014 на Wayback Machine In: Majka, C.G.; Klimaszewski, J. (eds) Biodiversity, biosystematics, and ecology of Canadian Coleoptera II. ZooKeys, 22: 81–170. doi: 10.3897/zookeys.22.219
- ↑ Seevers, C. H. Revision of the North American and European Staphylinid Beetles of the Subtribe Gyrophaenae (Aleocharinae, Bolitocharini) // Fieldiana. — 1951. — 32, N 10. — P. 656–762.
- ↑ Определитель насекомых европейской части СССР. Т. II. Жесткокрылые и веерокрылые / под общ. ред. чл.-корр. Г. Я. Бей-Биенко. — М.—Л.: Наука, 1965. — С. 116, 120, 152. — 668 с. — (Определители по фауне СССР, издаваемые Зоологическим институтом АН СССР; вып. 89). — 5700 экз.
Литература
- Ashe, J. S. Generic revision of the subtribe Gyrophaenina (Coleoptera: Staphylinidae: Aleocharinae) with a review of the described subgenera and major features of evolution // Quaestiones entomologicae. — 1984. — 20, N 3. — P. 129—349.
- Seevers, Charles H. 1978. A generic and tribal revision of the North American Aleocharinae (Coleoptera: Staphylinidae). Fieldiana (Zoology), vol. 71. vi + 1-289. ISSN: 0015-0754
